Udvalget skal mandag 11.01.2021 behandle en ny ansøgning fra bygherren af den tidligere Coloplast-grund i Espergærdes industrikvarter om ændringer i lokalplanen. Imødekommelse af ansøgningen - beskrevet i Frederiksborg Amtsavis lørdag - vil betyde tættere byggeri.
Espergærde Byforening skal på det kraftigste anbefale at Udvalget ikke imødekommer bygherrens ønsker.

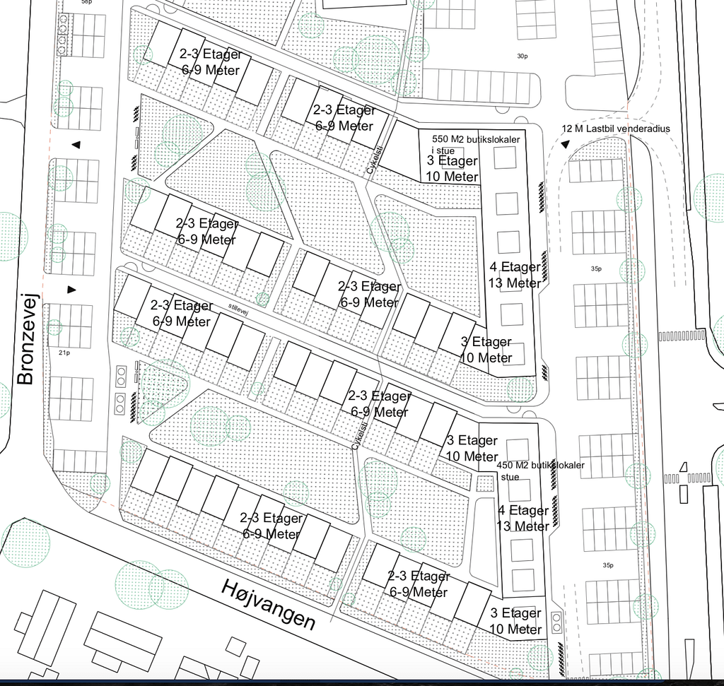
Espergærdes befolkning protesterede voldsomt mod det oprindelige lokalplanforslag, som havde alt for højt og alt for tæt byggeri. Dengang imødekom Byrådet i beskedent omfang Espergærdes befolkning ved at nedsætte den ansøgte højde for byggeriet fra 5 til 4 etager. Bygherren fik ellers tilladelse til det byggeri, han selv havde søgt om.
Forslaget til lokalplan blev behandlet på borgermøder og med stor lokal bevågenhed og masser af borgerindsigelser. Lokalplanen blev behandlet hele to gange over de seneste to år.
At imødekomme bygherrens ansøgning nu vil derfor være at gøre grin med de borgere, som seriøst har brugt tid og kræfter på at sætte sig ind i problemstillingerne. Det vil være at gøre grin med vores forvaltning og det vil være at gøre grin med vores politikere. Det er at gøre grin med hele processen omkring lokalplaners vedtagelse og inddragelse af borgerne.
Enhver har kunnet sige sig selv, at 3-4 etager, der ligge så tæt, som tilfælde var i bygherrens oprindelige ansøgning, ville give problemer i nogle lejligheder/rækkehuse med indblik, skyggevirkninger og manglende sollys i nogle af boligerne og problemer med at få plads til skure mm.
Bygherren har fået en tilladelse. Bygherren har mulighed for at lade være med at udnytte tilladelsen fuldt ud. Og kan i stedet for at bygge alle rækkehusene, så kun bygge dem, som det giver fornuft at bygge - som folk vil bo i, og som ikke ligger i skygge bag andre etagehuse.
Lad os lave et tankeeksperiment: Ville udvalget imødekomme en ansøgning fra Espergærde Byforening om at nedsætte alle byggehøjder med een etage? Nej vel? Det er selvfølgelig utopisk. Det bør være lige så utopisk, at en bygherre kan få tilladelser til at ændre en allerede vedtaget lokalplan. Ændringer må føre til ny lokalplanbehandling og gentagne protester fra befolkningen. Hvis da ikke Espergærdes befolkning har opgivet vores politikere; det ville være ulykkeligt. Vi bør kunne stole på vores politikere og de beslutninger, der træffes.